Rover Makes Splash on Mars
A robot on Mars has gathered evidence that liquid water once flowed on the Red Planet.
Share this:
- Share via email (Opens in new window) Email
- Click to share on Facebook (Opens in new window) Facebook
- Click to share on X (Opens in new window) X
- Click to share on Pinterest (Opens in new window) Pinterest
- Click to share on Reddit (Opens in new window) Reddit
- Share to Google Classroom (Opens in new window) Google Classroom
- Click to print (Opens in new window) Print
By Emily Sohn
A robot on Mars has just turned up the best evidence yet that liquid water once flowed on the Red Planet. Because water is thought to be necessary for life, the discovery should help researchers pinpoint places where living things might have once survived.
The search for water and life on Mars has picked up in the last few weeks, ever since two rovers landed safely on opposite sides of the planet in January. The rovers, called Spirit and Opportunity, are exploring their rocky neighborhoods, taking pictures, making observations, and sending back information to scientists on Earth.
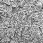
![]() |
|
This close-up of a rock shows rounded grains that indicate a wet history for Mars.
|
| NASA/Jet Propulsion Lab/U.S. Geological Survey |
The new signs of water came from Opportunity, which has been creeping across a huge plain called Meridiani Planum. Images of the view through Opportunity’s magnifier showed tiny round grains embedded within layers of rock. Other images unveiled weird holes poking through the stone. Such holes form in rocks on Earth when minerals crystallize out of water, then get washed out or eroded away.
A piece of equipment called a spectrometer revealed pockets of sulfur compounds, which could form only if a salty liquid once soaked through the dirt, then evaporated. Another type of spectrometer turned up an iron-rich mineral called jarosite, which occurs on Earth in hot springs or acidic lakes.
Taken together, the new evidence has inspired scientists to develop ways to bring Mars rocks and dirt back to Earth for further study. Because all the liquid water seems to be gone from the planet’s surface, however, few researchers expect to find even microbes lurking there now, let alone human-sized aliens.
For more dramatic alien encounters, you still have to count on TV, books, or your own imagination.—E. Sohn
Going Deeper:
Cowen, Ron. 2004. Red planet makes a splash: Rover finds gush of evidence for past water. Science News 165(March 6):147. Available at http://www.sciencenews.org/articles/20040306/fob1.asp .
McDonagh, Sorcha. 2004. Roving the Red Planet. Science News for Kids (Jan. 28). Available at http://www.sciencenewsforkids.org/articles/20040128/Note2.asp .
For the latest information on the rovers and additional Mars images, go to marsrovers.jpl.nasa.gov/home/index.html .
